Immobilienmakler Ferienhäuser in Kololi Serekunda Gambia
E-Mail Immobilienmakler Kololi
Ferienhaus
Kololi Serekunda
Ferienhaus Gästehaus in Kololi Serekunda Gambia kaufen vom Immobilienmakler
Kololi Ferienhäuser
Ferienhäuser in Kololi Serekunda

Kololi in Gambia bei Serekunda Ferienhäuser / Gästehäuser mit 732 m²
Grundstück, 900 m vom Meer und Strand entfernt zum Kaufen / Verkäufer

Gambia - Ferienanlage mit 4 Gästehäusern in Kololi ( zwischen Bijilo und Fajara ) unweit vom Meer und Strand entfernt

Grundstück der Gästehäuser in Kololi von Gambia
  • Lage der Gästehäuser: in Kololi - Serekunda zwischen Bijilo und Fajara
  • 900 m Fußweg vom Meer und Strand entfernt
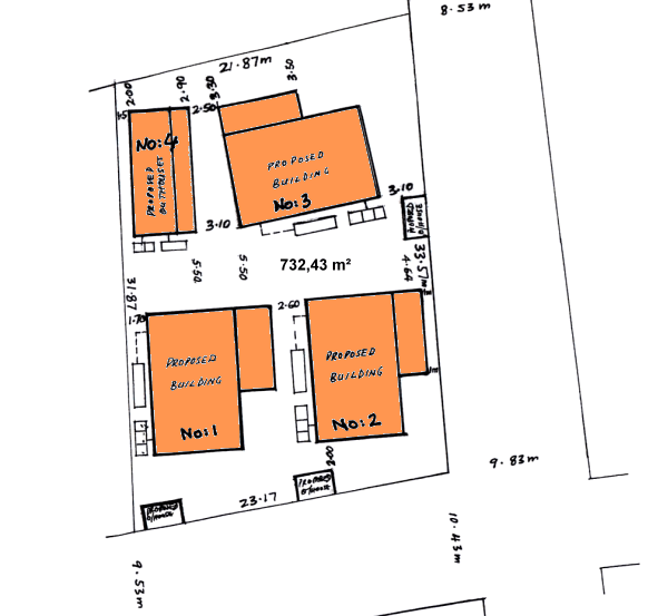
  • Grundstück der Gästehäuser: 732,43 m²
  • 4 Ferienhäuser / Gästehäuser
  • Baujahr der Ferienanlage: 2008
  • Kaufpreis der Gästehäuser / Ferienanlage: 500.000,- €
Grundriss der Gästehäuser in Kololi Gambia
Kololi Ferienhäuser
Kololi Gästehaus Grundriss

Gästehaus 4

Gästehaus 1 bis 3