Immobilienmakler Baugrundstücke Sady Poznan in Polen
E-Mail Immobilienmakler Gewerbegrundstücke Sady Poznan Polen
Gewerbegrundstück
Sady Poznan Polen
Immobilienmakler Verkäufer von Gewerbegrundstücken in Sady Poznan Großpolen Polen
Grundstück Sady Posen Polen
Gewerbegrundstück in Sady Poznan Polen

Polen - Gewerbegrundstück in Poznan ( OT Sady ) der Woiwodschaft Großpolen zum Kaufen / Verkäufer

Bauland / Gewerbegrundstück in Poznan ( OT Sady ) - Wielkopolskie - Polen

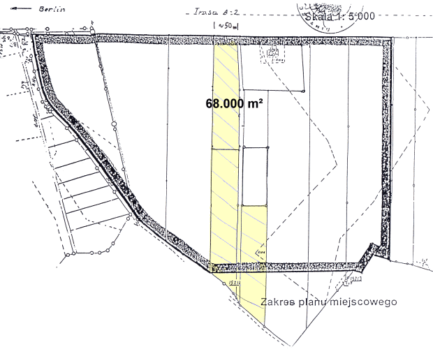
  • Grundstück / Gewerbegrundstück: 68.000 m² im Gewerbegebiet von 200.000 m²
  • Lage: in Sady - Poznan an der A 92 ( siehe Lagekarte )
  • Gewerbegrundstück ist zugelassen für Industrie, Handel, Gewerbe, Dienstleistungen
  • Vorgaben: 20 % Grünfläche, maximale Bauhöhe 20 m
  • Kaufpreis Gewerbegrundstück: 55,- € / m² ( inklusive Gesellschaft )
Sady Gewerbegrundstück Poznan Polen
O-1641-Fl
Gewerbegrundstück in Sady Polen kaufen vom Immobilienmakler