Oppeln Immobilienmakler Tankstellen in Polen
Immobilienmakler Brzeg Tankstellen in Oppeln Polen
E-Mail Immobilienmakler Tankstellen Skarbimierz Polen
Tankstelle
Skarbimierz Brzeg

Polen Tankstelle mit Waschstraße im Gewerbegebiet Skarbimierz bei Brzeg zwischen Breslau und Opole zum Kaufen / Verkäufer

Skarbimierz / Brzeg - Tankstelle mit Waschanlage / Waschstraße und Bistro in Oppeln von Polen zum Kaufen

Tankstelle Powiat Brzeski Polen
Tankstelle Brzeski Polen kaufen
  • Lage der Tankstelle: Gewerbegebiet Skarbimierz / Brzeg zwischen Wroclaw ( Breslau ) und Opole
    Entfernungen: Breslau 36 km; Opole 40 km; Brzeg 2 km
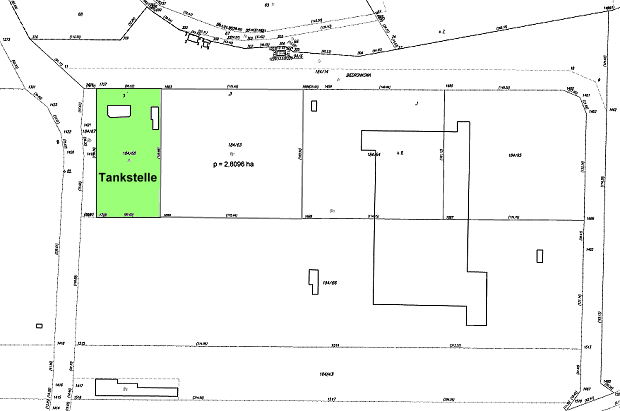
  • Tankstellen Grundstück: 12.872 m²
  • 5 Zapfsäulen für LKW, LKW-Waschanlage, 400 m² Bistro, 8.500 m² LKW-Parkplatz
  • Kaufpreis der Tankstelle: 905.000,- €
Tankstelle zum Kaufen in Polen
Waschstraße der Tankstelle
LKW-Tankstelle in Polen zum Kaufen
Tankstelle für PKW
Waschstraße der Tankstelle
Toiletten der Tankstelle
Bistro der Tankstelle
Verkaufsraum der Tankstelle

Grundstück der Tankstelle in Skarbimierz / Brzeg - Oppel - Polen

Grundstück der Tankstelle für LKW und PKW
Tankstelle Brzeski Polen kaufen
Tankstelle im Gewerbegebiet von Oppeln Polen zum Kaufen

Dieses Grundstück kann ebenfalls erworben werden !