Immobilienmakler Grundstücke in Mostki Polen
Polen Lebus Swiebodzin Gewerbegrundstücke Industriegrundstücke Baugrundstücke zum Kaufen
Immobilienmakler Verkäufer Grundstücke Mostki der Woiwodschaft Lebus Polen
Grundstück in Mostki Lebus Polen
  • Lage: in Mostki bei Swiebodzin - Lebus - Polen, an der A2
  • Gewerbegrundstück: 40.000 m²
  • weitere Informationen zum Grundstück auf Anfrage !
  • Kaufpreis Grundstück: auf Anfrage !
Plaw Woiwodschaft Lebus in Polen

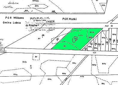
Lagekarte

O-336 /A-553

Polen in Mostki bei Swiebodzin Grundstück / Baugrundstück der Woiwodschaft Lebus zum Kaufen / Verkäufer

Gewerbegrundstück in Mostki - Lebus - Polen

E-Mail-Kontakt Immobilienmakler für Grundstücke in Lebus Polen